507 Highway 49, Byron, GA 31008
For Lease
+3
For Lease
+5
For Lease
View All 8 Photos
View All 8 Photos
Property Description
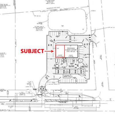
Property has 400 Amp, 3 phase power. Zoned C-3 with all utilities available.
Location:
Located on the main busy thoroughfare in Byron. Highway 49 is booming with new developments. Nearby business include Chick-Fil-A, Starbucks, Dunkin Donuts, Jimmy John's, Burger King, Denny's, Georgia Bob's BBQ, Zaxby's, Dairy Queen, Big Peach Antiques Mall, and many hotels.
Space Details:
Up to 2,500 SF available on endcap unit with both grease trap and drive thru capability. Property has 400 Amp, 3 phase power.
Property Highlights
Dark Shell
Great Location
High visibility and traffic
Endcap space with drive thru capability
Property Details
General
- Property Name: 507 North Highway 49
- Monthly Rent: $32.00 $/SF/Year
- Property Status: Active
- Property Type: Retail
- Sub Type: Storefront/Office
- Class: LEASE
- Lease Type: NNN
- County: Peach
- Zoning Description: C-3
- Lot Size: 2.04 Acres
Building
- Building Size: 8,800 SF
- Space Available: 2500 SF
- Gross Leasable Area: 2,500 SF
- Year Built: 2024
- Construction Status: Under Construction/Proposed
Land
- Traffic Count: 22,440