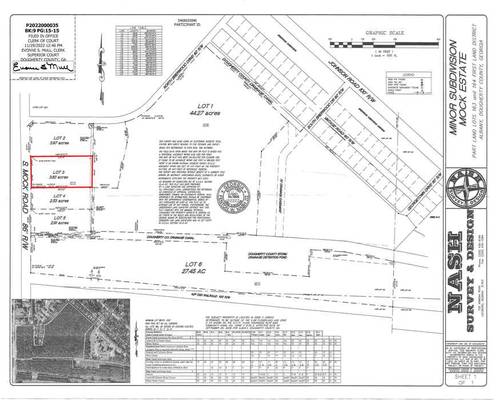
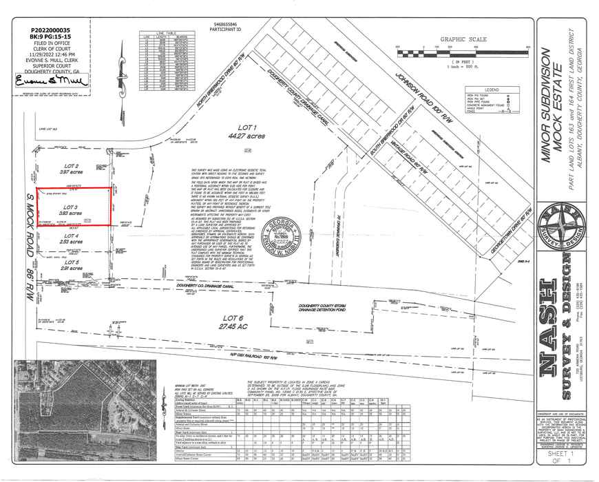
408 Mock Road, Albany, GA 31705

Property Description

REDUCED! PRICED WELL BELOW TAX ASSESSED VALUE FOR IMMEDIATE SALE. This lot is located directly on South Mock Road, just south of the hard corner/signalized intersection of South Mock Road and Briarwood Drive. Zoned C-7 for flexible commercial/ residential mixed use. Parcel may be purchased with one or both lots adjoining on South Mock Road, offering the opportunity for long highway frontage and over 10 acres of development land. Broker is protected at 6%.

Location:
Just off the southeast corner of the signalized intersection of South Mock Road and Briarwood Drive. Conveniently situated, this location offers quick access to both Highway 82 and Highway 19. Within the area you’ll find prominent neighbors such as Walmart Supercenter, Walgreens, Roses, USPS, Mock Road Mini Storage, and a variety of restaurants and other retail options.

Property Highlights

Can be combined with 404 & 412 S Mock Rd
Great Location
Many Uses

Property Details

General

  • Property Name: 408 South Mock Road
  • Price: $27,000.00
  • Price Per Acre: $7,049.61
  • Property Status: Active
  • Property Type: Land
  • Sub Type: Commercial/Other
  • Property Use: Vacant Property
  • Class: SALE
  • County: Dougherty
  • Zoning Description: C-7
  • Lot Size: 3.83 Acres

Documents

Documents