3971 Northside Drive, Macon, GA 31210
For Sale
For Sale
+3
For Sale
View All 6 Photos
View All 6 Photos
Property Description
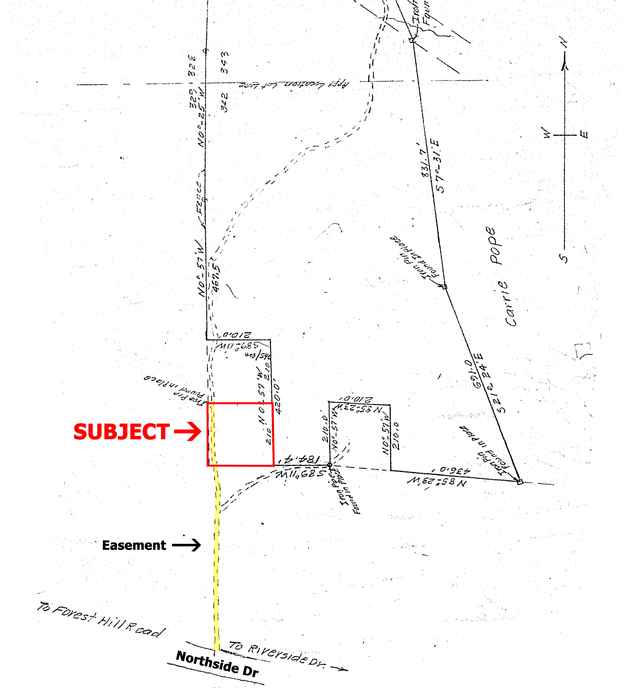
Property is 1 Acre and is currently zoned Agricultural. Location is wooded, at road grade, and all public utilities serve the site. Site is accessible from Northside Drive via an easement on the west side of The Arbors apartment complex.
Location: Situated minutes from shopping centers, restaurants, McKibben Lane Elementary, Springdale Elementary, Howard Middle, and Howard High Schools. Site has easy access to Riverside Drive and I-75 via Tom Hill Senior Boulevard.
Property Highlights
Accessible via easement
All utilities serve site
Property Details
General
- Property Name: 3971 Northside Drive
- Price: $50,000.00
- Price Per Acre: $50,000.00
- Property Status: Active
- Property Type: LAND
- Sub Type: AGRICULTURAL
- Property Use: Vacant Property
- Class: SALE
- County: Bibb
- Zoning Description: A
- Lot Size: 1.00 Acres
Land
- Traffic Count: 19,200